由圣旺泰(乌海)化工物流综合服务有限公司开发建设的圣旺泰(乌达)化工物流综合保障中心项目规划设计调整方案已经乌海市乌达区人民政府2024年第八次国土空间规划专题办公会评审通过。依据《中华人民共和国城乡规划法》,为保障公众利益,维护相关单位及个人的合法权益,现予以公示,公示期五天。
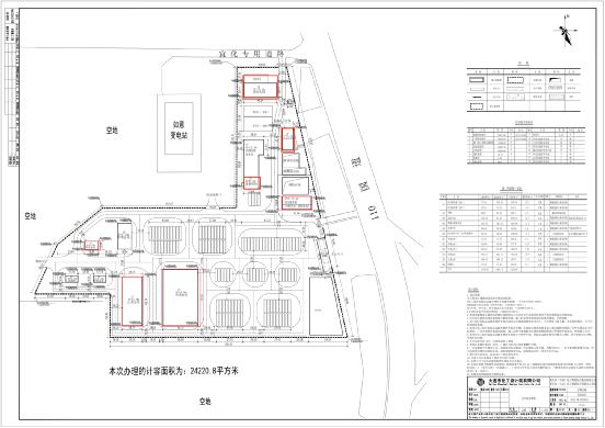
该项目建设地点位于乌海高新技术产业开发区乌达产业园。项目调整前用地面积:82451㎡,总建筑面积:13467.10㎡(其中地下472.21㎡),计容面积:24220.8㎡(其中地下472.21㎡),停车位112个,容积率:0.29,建筑系数:14.78%,绿化率:3.23%;调整后用地面积:68002㎡,总建筑面积:11227.20㎡(其中地下517.13㎡),计容面积:19978.76㎡(其中地下517.13㎡),停车位66个,容积率:0.29,建筑系数:14.6%,绿化率:2.4% 。(详见附表、附图)
具体调整内容如下:
项目名称 | 圣旺泰(乌达)化工物流综合保障中心项目 | ||
建设单位 | 圣旺泰(乌海)化工物流综合服务有限公司 | ||
建设位置 | 乌海乌达高新技术产业开发区乌达产业园 | ||
规划指标 | 项目 | 调整前 | 调整后 |
用地地面积 | 82451.00㎡ | 68002.00㎡ | |
建(构)筑物占地面积 | 12190.65㎡ | 9924.10㎡ | |
计容面积 | 24220.80㎡ | 19978.76㎡ | |
建筑总面积 | 13467.10㎡ | 11227.20㎡ | |
停车位 | 112个 | 66个 | |
容积率 | 0.29 | 0.29 | |
建筑系数 | 14.78% | 14.60% | |
绿化率 | 3.23% | 2.40% | |
| 规划指标 | 建筑 | 层 数 | 调整前 | 调整后 | ||||
占地面积 | 建筑面积 | 计容面积 | 占地面积 | 建筑面积 | 计容面积 | |||
综合服务楼 | -1/3F | 772.54㎡ | 2869.25㎡ | 2869.25㎡ | 517.13㎡ | 2115.98㎡ | 2115.98㎡ | |
罩棚 | 1F | 600.00㎡ | 304.25㎡ | 608.50㎡ | 600.00㎡ | 304.25㎡ | 608.50㎡ | |
清洗车间 | 1F | 1339.46㎡ | 931.27㎡ | 2270.73㎡ | 931.27㎡ | 931.27㎡ | 1862.54㎡ | |
检测及维修车间 | 1F | 1281.53㎡ | 1281.53㎡㎡ | 2563.06㎡ | 1281.53㎡ | 1281.53㎡ | 2563.06㎡ | |
设备用房 | 1F | 368.66㎡ | 359.66㎡ | 359.66㎡ | 359.66㎡ | 359.66㎡ | 359.66㎡ | |
污水处理车间 | 1F | 597.69㎡ | 490.37㎡ | 1088.06㎡ | 490.37㎡ | 490.37㎡ | 980.74㎡ | |
甲类仓库一 | 1F | 171.01㎡ | 171.01㎡ | 342.02㎡ | 171.01㎡ | 171.01㎡ | 342.02㎡ | |
甲类仓库二 | 1F | 238.88㎡ | 238.88㎡ | 477.76㎡ | 732.89㎡ | 732.89㎡ | 1465.78㎡ | |
甲类仓库三 | 1F | 732.89㎡ | 732.89㎡ | 1465.78㎡ | 732.89㎡ | 732.89㎡ | 1465.78㎡ | |
丙类仓库 | 1F | 3927.73㎡ | 3927.73㎡ | 7855.46㎡ | 2461.69㎡ | 2461.69㎡ | 4923.38㎡ | |
乙类仓库 | 1F | 1989.25㎡ | 1989.25㎡ | 3978.50㎡ | 1474.65㎡ | 1474.65㎡ | 2949.30㎡ | |
固废库 | 1F | 171.01㎡ | 171.01㎡ | 342.02㎡ | 171.01㎡ | 171.01㎡ | 342.02㎡ | |
合计: | 12190.65㎡ | 13467.10㎡ | 24220.80㎡ | 9924.10㎡ | 11227.20㎡ | 19978.76㎡ | ||
注:标红字体为调整前后产生变化的部分 | ||||||||
反馈意见单位:乌海市自然资源局乌达分局
联系人:王卓佳 电话:0473-6983046
调整前鸟瞰图


调整前总平面图

调整后鸟瞰图


调整后总平面图

上一条:
下一条: