无障碍
乌海市海勃湾区城镇棚户区非成套平房综合整治改造工程建设项目建设工程规划许可证补办公示
发布时间:2023年08月02日 作者: 来源:自然资源 浏览次数:

  由乌海市海勃湾区公用事业发展中心建设的乌海市海勃湾区城镇棚户区非成套平房综合整治改造工程建设项目于2023年海勃湾区第八次城市规划建设区长专题办公会议通过,依据《关于城乡规划公开公示的规定》的要求,为保障公众利益,维护相关单位及个人的合法权益,现予以公示,公示期为七天。 

  

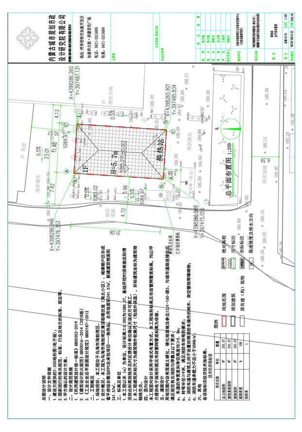
总用地面积 

  241.57 

  总建筑面积 

  241.57 

    

    

  反馈意见单位:乌海市自然资源局海勃湾分局 

  联系电话:0473-6995512 

  联系人:贺倩 

  附图: 

  立面图 

  oldsrc=W020230802657137443768.jpg 

  oldsrc=W020230802657137454677.jpg 

  平面图 

  oldsrc=W020230802657137456733.jpg 

打印 关闭

上一条:

下一条: